Miller Lowery Developments is moving forward with a 15-unit residential community known on paper as 864 Huff Road Townhomes following approvals of its Special Administrative Permit (SAP).
Originally the project was poised to be a 32-unit midrise rental/mixed-use.
“The developer has since deceived that, the rental is not viable and intends now to build 15 for sale townhomes,” Charles Graham, president of the Blandtown Neighborhood Association, said in an email to residents late last week.
“Since the rezoning has already been approved, there is no additional approval needed from the community.”
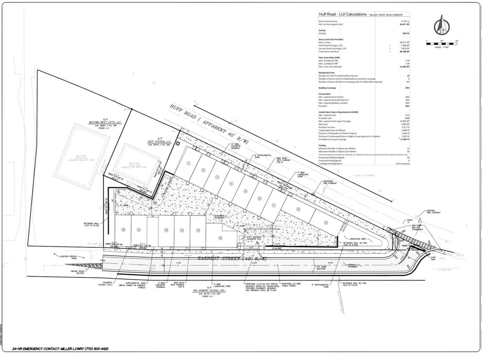
864 Huff Road Townhomes, situated on a 0.79-acre site (vacant without structures), would offer a 15-unit townhome community comprised of three and four stories with three and four bedroom units that range from 2,500 square feet to 3,000 square feet.
The project has been designed as three separate buildings of nine, four and two units each and will be constructed in wood stud framing over concrete foundations, according to the project scope.
Each unit will have a two car garage accessed from an internal drive aisle from each unit’s rear side.
All units will have their own accessible roof terraces and more than half of the units shall be outfitted with residential-sized elevators.
Kuo Diedrich Chi is the project’s architect and pricing starts in the low $700s.




Who can afford these? Great location but WOW!
And where are the amenities?
bland building for Blandtown. 🙁